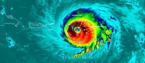
Hurricane Irma already has a successor, Hurricane Jose. The Carribean and Florida are in direct line for Jose and Mexico is preparing for Hurricane Katia to make landfall.
Jose is expected to wreak havoc on the Carribean
The devastation caused by Hurricane Irma has not even begun to be cleared and the islands are still reeling from the impact so the news that a second hurricane is about to hit is disastrous for her people. The UK has already been criticised for not doing enough for the Carribean and now more trouble is on its way.
Scientists attribute climate change and warmer seas to changing weather patterns
According to Al Jazeera, scientists are attributing these and other world weather patterns as likely effects of Global warming. In a recent interview with Al Jazeera's Hashem Ahelbarra, three scientists explained how climate change is warming the seas which then 'feed' hurricanes.
What's behind world' recent #extremeweather events? https://t.co/o0etelKsfK
— Hashem Ahelbarra (@hashemahel) September 9, 2017
Climate change is no surprise yet too many governments remain apathetic
David Attenborough has been warning about the weather patterns being affected by human behaviour for decades and urging politicians to take action, which is largely falling on deaf ears.
In 2016 during a interview with the UK Independent, he expressed huge concern about political apathy and suggested that political and religious divides are negligible in the face of climate change and its long term impact on all human beings, flora and fauna, worldwide. Evidence of this may already be seen in water levels in dams and rivers around the world. In the USA the Colorado River is low enough to cause huge concern to the state of Arizona and the state is taking steps to try and ensure conservation.
Excessive rains or drought worldwide must surely stimulate action from governments?
Sierra Leone lost 1000 lives in recent mudslides. India, Nepal and Bangladesh have also experienced torrential rain.
Hong Kong has issued Typhoon 10 grade warnings for the first time in years. South Africa's Cape Town is in dire straits as the winter Cape storms either missed the tip of Africa or were insufficient to fill dams and reservoirs for the city. The evidence is there.
Climate change is serious. Trump's insistence that the USA withdraw from the Paris Agreement is significant in its casual disregard for urgently required measures to curb pollution. Long term planning and application of regulatory measures are no longer suggestions, indeed they are mandatory if humans are to survive.