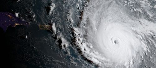
Hurricane Maria is the latest in a long line of hurricanes in a short space of time. This one breached the eastern coast of the Caribbean Island of Dominica last night and is today heading towards the British Virgin Islands and Puerto Rico. The United States National Hurricane Center has produced statistics based on the storm, measuring its sustained wind speeds to have reached a maximum of 155 miles per hour. But even more alarming is their warning of the rising water levels that could follow the storm, which would lead to floods, which would lead to even more people being driven out of their homes and left with nothing when the devastating events are finally over.

Their initial warning was that a "major hurricane" was headed for the Caribbean Islands and that the people there should head to the supermarket to stock up on supplies before it hit.

Now, with regards to Hurricane Maria, they're warning victims of a "dangerous storm surge accompanied by large and destructive waves" and approximated that this could raise the water levels by 9 feet, which is equal to almost 3 metres, as the storm heads for the French territory of Guadeloupe. Guadeloupe has until now been the base of operations for relief efforts to get out to the islands most affected by Hurricane Irma.

When will it end?!

The road to recovery from Hurricanes Harvey, Irma, Juan, Katia etc. and now Maria will be long and treacherous and difficult, but we need the damned hurricanes to stop first before we can start to rebuild. They haven't even managed to get food, water, medical attention, and other basic essentials to the victims of Irma yet and already those victims are being hit with another storm.